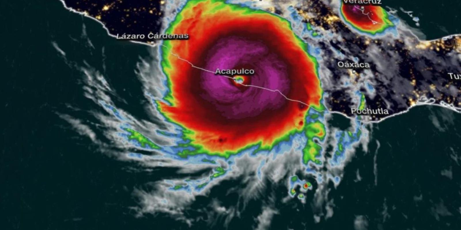
A 1 AÑO DEL DESASTROSO HURACÁN OTIS DE CATEGORÍA 5

Fecha que es imborrable para los Acapulqueños, que no será difícil de recordar así como el Paulina de 1997. La noche del 24 y madrugada del 25 fue cuando Otis tomó por sorpresa a Acapulco, que logró convertirse en huracán categoría 5, altamente catastrófico.
Muchos habitantes del puerto de Acapulco, no creían ni imaginaban la gran magnitud del huracán Otis. Al principio comenzó siendo una depresión tropical, que en menos de 10 horas,  se convirtió en huracán categoría 1 hasta ir escalando y ser de categoría 5. Entre los daños que ocasionó se pueden enumerar : Árboles caídos, Postes tirados, viviendas gravemente dañadas, edificios destruidos por completo,espectaculares y anuncios publicitarios tirados en la calle y por supuesto, las inundaciones. Definitivamente dejó una huella y una cicatriz imborrable en todos los acapulqueños.